فرار هزاران آمریکایی از سواحل مکزیک

افکار نیوز یکشنبه 07 شهریور 1400 - 10:47
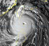
با نزدیک شدن طوفان پرقدرت ایدا به مناطقی از خلیج مکزیک هزاران آمریکایی از خانه‌های خود فرار کردند.
فرار هزاران آمریکایی از سواحل مکزیک

رئیس جمهور و مقامات آمریکایی از ساکنین سواحل خلیج مکزیک می‌خواهند تا قبل از رسیدن طوفان "فوق العاده پرقدرت" ایدا، منطقه را تخلیه کنند.

جان لو ادواردز، فرماندار لوئیزیانا در نشست خبری گفت: هزاران نفر از ساکنان این منطقه، شنبه این منطقه را ترک کردند. وی افزود: "پنجره زمان" برای آماده سازی در مقابل طوفان "به سرعت بسته می‌شود"، زیرا اوضاع آب و هوا "خیلی زود رو به وخامت می‌رود".

فرار هزاران آمریکایی از سواحل مکزیک

حداقل پنج محله در جنوب شرقی لوئیزیانا خواستار تخلیه اجباری شده اند. نیواورلئان نیز روز جمعه دستور تخلیه اجباری مناطق خارج از محدوده شهر را صادر کرد.

بایدن، رئیس جمهور آمریکا، اعلامیه‌های کمک اضطراری فدرال برای لوئیزیانا و می‌سی سی پی را تأیید و روز شنبه با فرمانداران این مناطق صحبت کرد.

آژانس مدیریت اضطراری فدرال، نزدیک به ۵۰۰ کارمند در لوئیزیانا و تگزاس و بیش از ۲۰۰۰ کارمند در آلاباما، فلوریدا، جورجیا و می‌سی سی پی مستقر کرده است. کل گارد ملی لوئیزیانا نیز که شامل ۵۰۰۰ عضو است، برای واکنش به طوفان مستقر شده اند.

طوفان ایدا روز شنبه بر فراز خلیج مکزیک در حال قوت گرفتن بود و پیش بینی می‌شد عصر روز یکشنبه جنوب شرقی لوئیزیانا را نیز هدف قرار دهد.

ایدا یکی از قوی‌ترین طوفان‌هایی است که از دهه ۱۸۵۰ در لوئیزیانا رخ داده است.

 

منبع خبر "افکار نیوز" است و موتور جستجوگر خبر تیترآنلاین در قبال محتوای آن هیچ مسئولیتی ندارد. (ادامه)
با استناد به ماده ۷۴ قانون تجارت الکترونیک مصوب ۱۳۸۲/۱۰/۱۷ مجلس شورای اسلامی و با عنایت به اینکه سایت تیترآنلاین مصداق بستر مبادلات الکترونیکی متنی، صوتی و تصویری است، مسئولیت نقض حقوق تصریح شده مولفان از قبیل تکثیر، اجرا و توزیع و یا هرگونه محتوای خلاف قوانین کشور ایران بر عهده منبع خبر و کاربران است.